V následujícím příkladu je uvedený postup k získání výpisu počtu chyb týkajících se stavebních objektů pro vybrané (příp. všechny) stavební úřady z kraje přihlášeného uživatele. Pro vytvoření výpisu musí být uživatel přihlášený pod agendou obecného nebo krajského stavebního úřadu. Ukázka je uvedena pro uživatele ze stavebního úřadu Holešov, výsledkem je tedy výpis chyb vybraných stavebních úřadů ze Zlínského kraje ke dni 30. 5. 2020.
Na obrazovce Statistiky chyb necháme zvolenou možnost Stav chyb a zadáme následující parametry:
Agenda: Stavební úřad
Stav k: 30. 5. 2020
OVM k porovnání: Klikneme na tlačítko Vybrat OVM a v otevřeném okně postupně vybíráme požadované stavební úřady a přidáváme je do seznamu tlačítkem Přidat. (Případně lze do seznamu zadat všechny stavební úřady našeho kraje přes možnost Vybrat vše.) Výběr potvrdíme tlačítkem Hotovo.
Checkbox Kraj necháme neoznačený (pro obecný StÚ je nedostupný). V tomto příkladu nás zajímají jen statistiky se stavebními objekty, proto v dolní části formuláře odznačíme první možnost Adresní místa bez definičního bodu, a necháme označené jen zbývající čtyři checkboxy. Pro zobrazení zadaných statistik následně klikneme na Vyhledat. V zobrazené tabulce jsou řádky s vybranými stavebními úřady a uvedenými počty jednotlivých chyb k datu 30. 5. 2020.
Vyhledané záznamy je možné seřadit podle kteréhokoliv sloupce kliknutím na jeho záhlaví. V ukázce uvedené níže jsou záznamy seřazeny sestupně podle počtu stavebních objektů bez parcely (SO bez PA) – stavební úřady s nejvyšším počtem chyb jsou v seznamu jako první. Seznam je možné pro další zpracování nebo tisk vyexportovat do některého z následujících formátů: PDF, CSV a XML přes tlačítko Exportovat.
Pozn.: Uvedený postup lze jednoduše obměnit pro získání počtu chyb zvolených obcí při přepnutí agendy na Obec.
.png)
Obrázek 13: Ukázka zadaných parametrů a vyhledaných záznamů z příkladu 1
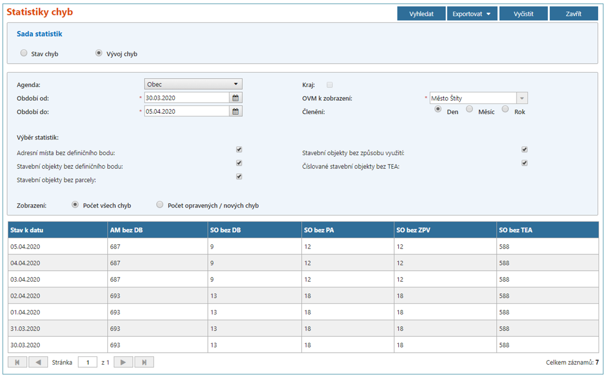
V tomto příkladu budeme zjišťovat, jaký je vývoj počtu chyb v konkrétní obci v průběhu zadaného týdne. Uvedený postup mohou použít jak obce, tak stavební úřady, včetně krajských stavebních úřadů. V ukázce budeme vypisovat vývoj počtu chyb v městě Štíty v týdnu od 30. 3. do 5. 4. 2020.
Na obrazovce Statistiky chyb přepneme v horní části na možnost Vývoj chyb a zadáme následující parametry:
Agenda: Obec
Období od: 30. 3. 2020
Období do: 5. 4. 2020
OVM k zobrazení: začneme psát „Štíty“ a z nabídky vybereme odpovídající OVM (nebo OVM rovnou vybereme z rozbalovacího seznamu)
Členění: Den
Zobrazení: Počet všech chyb
Checkbox Kraj necháme neoznačený. Protože chceme zjistit vývoj všech typů chyb, necháme označené všechny checkboxy z výběru statistik. Pro zobrazení zadaných statistik následně klikneme na Vyhledat. Výsledkem je 7 řádků s počty chyb v jednotlivých dnech zadaného týdne. Z vyhledaných údajů vidíme, že dne 3. 4. 2020 došlo k opravě několika chyb z prvních čtyř statistik. Např. z původního počtu 13 SO bez DB jich 3. 4. 2020 zbylo již pouze 9 - u čtyř chybných SO tedy došlo k doplnění parcely nebo k jejich zrušení.
.png)
Obrázek 14: Ukázka zadaných parametrů a vyhledaných záznamů z příkladu 2
V tomto příkladu uvedeme postup k získání informací o opravách chyb v celém kraji. Uvedený postup je umožněn pouze pro uživatele přihlášené pod krajským stavebním úřadem, protože jiní uživatelé se k údajům za celý kraj nedostanou. Ukázka je řešena pro Středočeský kraj, pro který je zjišťován počet opravených/nových chyb za měsíce duben a květen 2020.
Na obrazovce Statistiky chyb přepneme v horní části na možnost Vývoj chyb a zadáme následující parametry:
Agenda: Obec
Období od: 31. 3. 2020
Období do: 31. 5. 2020
Kraj: ANO (checkbox označit)
OVM k zobrazení: z rozbalovacího seznamu vybereme „Středočeský kraj“
Členění: Měsíc
Zobrazení: Počet opravených/nových chyb
Protože chceme zjistit vývoj oprav všech typů chyb, necháme označené všechny checkboxy z výběru statistik. Pro zobrazení zadaných statistik následně klikneme na Vyhledat. Výsledkem hledání jsou dva řádky s počty opravených/nových chyb ve Středočeském kraji za měsíce duben a květen. Vidíme například, že v měsíci dubnu bylo opraveno/zrušeno 30 AM bez DB a v květnu dalších 43. Zároveň však v dubnu došlo k založení 5 nových SO u kterých nebyly vyplněny všechny TEA.
Seznam je možné pro další zpracování nebo tisk vyexportovat do některého z následujících formátů: PDF, CSV a XML přes tlačítko Exportovat.
.png)
Obrázek 15: Ukázka zadaných parametrů a vyhledaných záznamů z příkladu 3
Pozn.: Při výpisu počtu opravených chyb je dobré mít zároveň přehled o počtu všech existujících chyb v daném období na zadaném OVM. Tento údaj lze jednoduše zjistit přepnutím zobrazení statistik na Počet všech chyb (a přegenerováním sestavy tlačítkem Zobrazit). V našem případě např. vidíme, že i po opravách z dubna a května zůstává na konci května ve Středočeském kraji 6399 AM bez DB.
.png)
Obrázek 16: Počet všech chyb